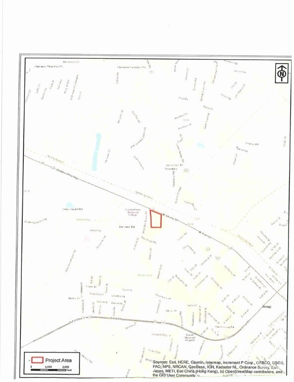
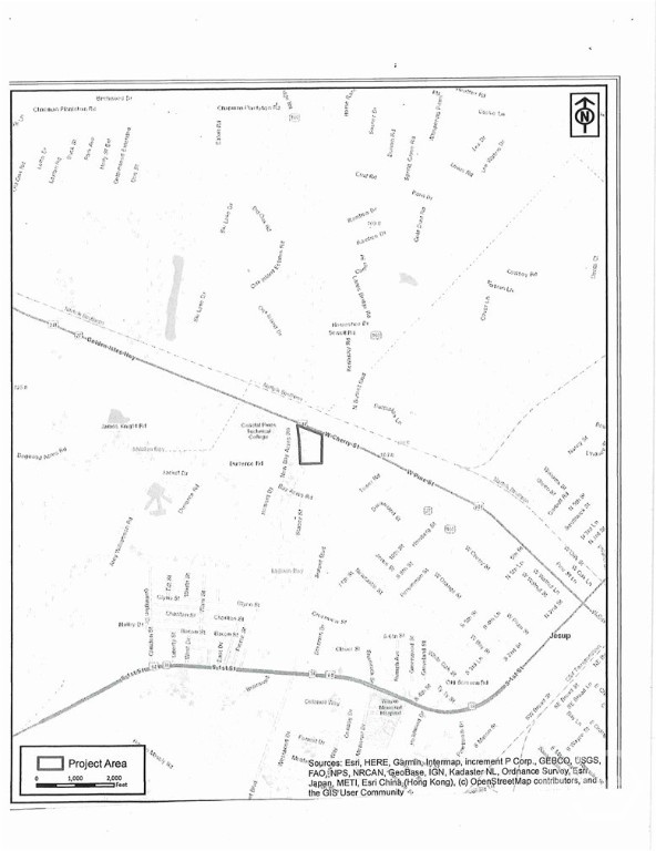
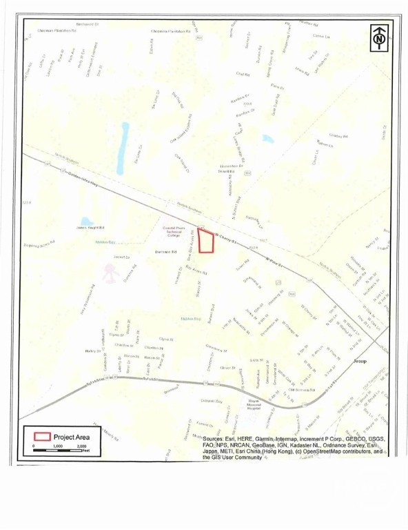
Property Description
Prime 11.7-acre commercially zoned parcel located within the city limits of Jesup, GA. Featuring 6.1 acres of uplands and over 600 feet of frontage along a 5-lane highway near the signalized intersection of Sunset Blvd and Hwy 341, this property offers excellent visibility and access. Ideal for apartments, retail, outparcels, storage, warehouses, schools, and more. Surveys available. Call for additional information.
Property Info
Property Type: Land
MLS Number: SA348876
Lot Size:
- 516
- 622 Acres
- 516
- 622 Acres
Status: Active
Property Sub Type: Land
Price: $290,000
Home Style/Type: Other
Location Details
County: Wayne
City: Jesup
Postal Code: 31545
Property Features
Water/Sewer: Public Sewer
MLS Addon
Office Name: Keller Williams Coastal Area P
Agent Name: Russell S. Finland

